lote en punta ballena con vista panorámica al mar. tera 6359 - col6359t

Punta Ballena
Precio de Venta U$S92,000 Actualizado 20-11-2023
COL6359T En Venta 3 Fotos

lote en punta ballena con vista panorámica al mar. tera 6359 - col6359t

  • Código : COL6359T
  • Codigo Interno: 6359
  • Zona: Punta Ballena
  • Superficie: 1001

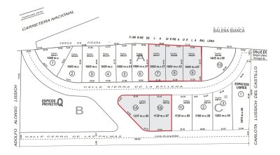
Terreno alto con vista panorámica al mar, consta de 1001 metros cuadrados.
Excelente Ubicación, en Punta Ballena, sobre el complejo Balena bianca y Edificio Q.

Tres lotes linderos dando un total de 3055 metros cuadrados.

Por más información consulte con nuestros asesores.

Características

  • Superficie: 1001
  • Frente: 0
  • Fondo: 0
  • Vista: Al Mar

Fotos de la Propiedad (3)

lote en punta ballena con vista panorámica al mar. tera 6359 - col6359t